Ardlethan

Lot 14 Boyd Street

Sold

 

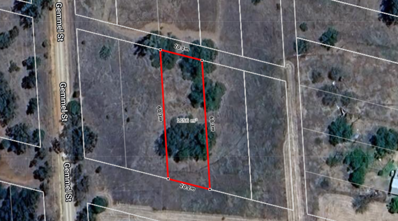
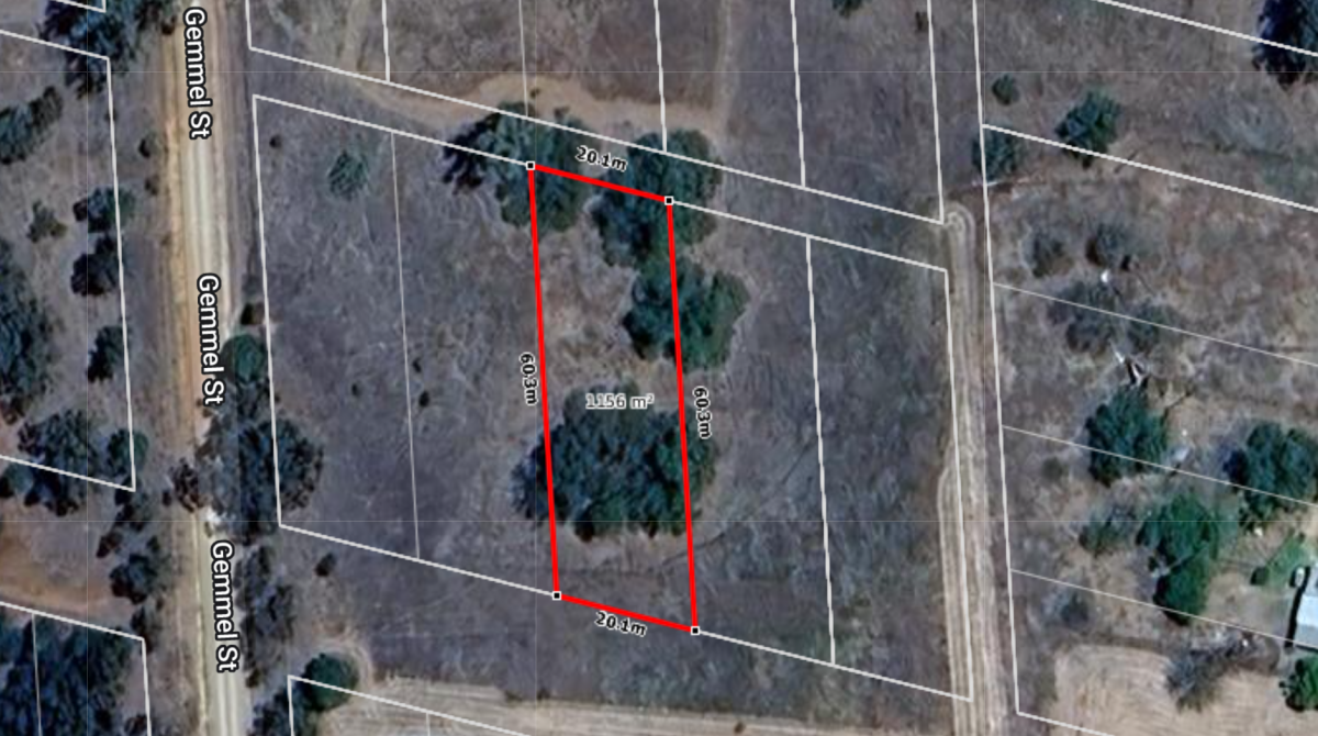
Land Size: 1156 m2 approx.

CHEAP BUILDING BLOCK - ACT NOW!

LOT 14 BOYD ST, ARDLETHAN
- Land size: 1,151sqm approx.
- Lot & DP: Lot 14/1/DP5822
- Rates: $373 per annum.
- ASKING PRICE: $25,000

MORE INFORMATION:
• Services: Power & water available but not connected. Power is currently being upgraded along kerbside of Gemmel Street.
• Zoning: Both blocks are zoned Small Lot Primary Production, and have a dwelling entitlement.
• Local Council - Coolamon Shire Council

ABOUT ARDLETHAN:
Ardlethan is small village situated in the heart of the Riverina, approximately 68km North East of Narrandera, 85km East of Griffith and 67km West of Temora.
The village offers; Ardlethan Central School, London Hotel, FoodWorks, Post Office, Chemist, Delta Agribusiness, Ardlethan Swimming Pool, Bowling Club and Recreation ground/oval, home to AAPM Northern Jets AFL & Netball Club.

Join our mailing list and we guarantee you will be informed of properties before they hit the net.

Join our Mailing List
Submit